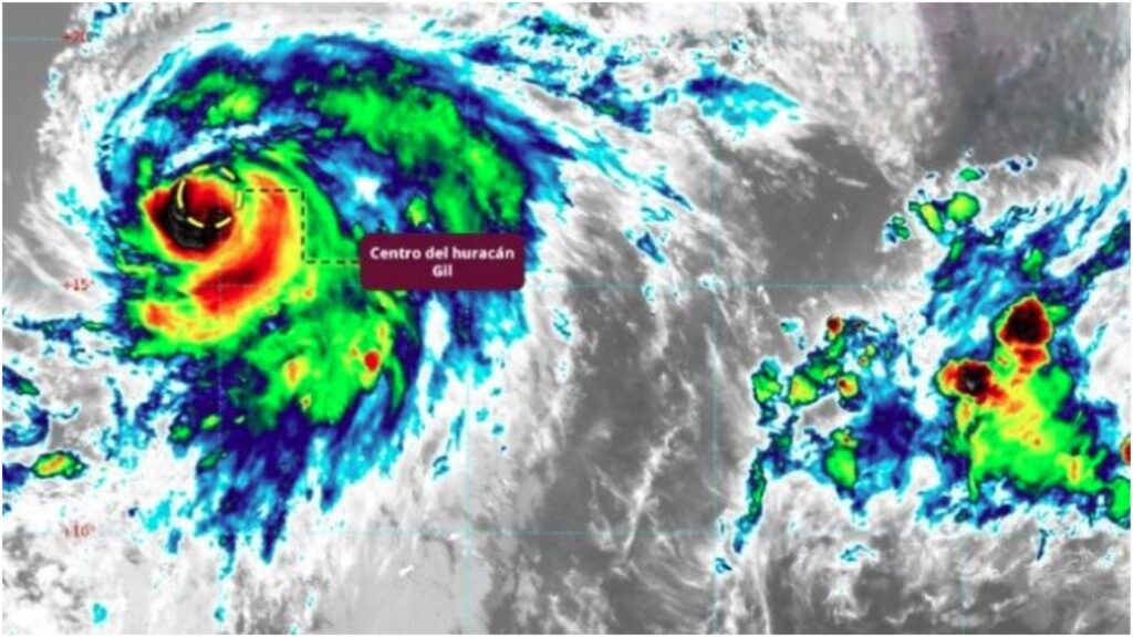
El 2 de agosto de 2025, la Comisión Nacional del Agua (Conagua) informó que la tormenta tropical Gil se intensificó a huracán categoría 1 en la escala Saffir-Simpson. Aunque Gil se fortaleció con vientos de 120 km/h y rachas de hasta 150 km/h, no representa un riesgo para México.
El huracán se localiza a 1,740 kilómetros al oeste-suroeste de Cabo San Lucas, en Baja California Sur, y su trayectoria lo aleja cada vez más de las costas mexicanas. Se espera que Gil se debilite a tormenta tropical en las próximas horas y, para el 5 de agosto, se degrade a una baja presión en mar abierto.
Conagua vigila otras zonas de baja presión
A pesar de que el huracán Gil no representa un peligro, la Conagua mantiene bajo vigilancia otras dos zonas de baja presión en el Pacífico con potencial para desarrollarse.
Una de ellas se ubica a 515 kilómetros al sur de Lázaro Cárdenas, Michoacán. Tiene un 80% de probabilidad de desarrollo ciclónico en los próximos siete días y podría convertirse en un ciclón tropical.
La segunda zona de baja presión podría formarse al sur de las costas de Michoacán, Guerrero y Oaxaca, con un 20% de probabilidad de desarrollo ciclónico en la siguiente semana.
Pronóstico de lluvias
Para el 2 de agosto, el Servicio Meteorológico Nacional (SMN) pronostica lluvias en varias regiones del país. Las lluvias más intensas, de 75 a 150 mm, se esperan en el norte y centro de Sinaloa.
También se prevén lluvias muy fuertes en Sonora, el sur de Veracruz y Guerrero. En el resto del país, se pronostican lluvias de menor intensidad, chubascos y lluvias aisladas.
Toma en cuenta que las lluvias fuertes e intensas pueden ocasionar visibilidad reducida en carreteras, desbordamientos de ríos, encharcamientos e inundaciones. Es importante estar atento a los avisos de las autoridades locales.




